Przystąpiliśmy do opracowania miejscowego planu zagospodarowania przestrzennego „Fogga”
Przystąpiliśmy do opracowania miejscowego planu zagospodarowania przestrzennego „Fogga”
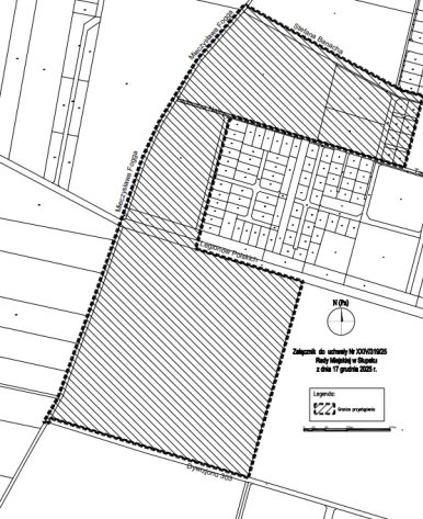
Zapraszamy wszystkich zainteresowanych kształtowaniem ustaleń opracowywanego obecnie w Wydziale Polityki Przestrzennej planu miejscowego „Fogga” (teren w okolicy ulic Fogga, Legionów Polskich, Banacha oraz Dywizjonu 303) do składania wniosków do ww. planu. Wnioski można składać do 13.05.2026 roku.
Bliższe informacje znajdziecie Państwo w poniższym linku:


